Your City Plans: Planning and Development Committee
Brampton is growing fast, and the decisions made today are shaping the future of tomorrow.
The intent of Planning and Development Committee (PDC) meetings is to hear the views of the public on applications being brought forth for consideration. Whether you are attending a meeting in person, viewing the livestream, or watching a pre-recorded session, public input is crucial in decision making.
We encourage you to get involved and stay informed. We want to hear from you!
PDC meetings are normally held monthly in Council Chambers on a Monday evening starting at 7:00 pm.
View the PDC calendar and video livestream: City of Brampton | Meetings and Agendas | Council and Committee Meetings and Agendas
Upcoming Meetings:
Statutory Public Meeting (Virtual or In-Person):
Monday, November 3, 2025 at 7:00 pm
City Hall Council Chambers
Virtual Public Meeting – http://video.isilive.ca/brampton/live.html
Featured Applications:
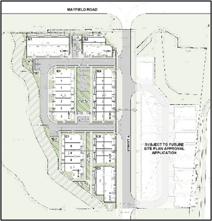
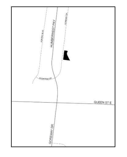
An application made by Georgian Mayfield Inc. – Glen Schnarr & Associates (File: OZS-2025-0029) Ward 10 to Amend the Official Plan and Zoning By-law.
Location
6875 and 6889 Mayfield Road
Purpose and Effect
The applicant is proposing an Official Plan Amendment and a Zoning By-law amendment to permit 178 stacked back-to-back townhouse units on the high-density block. A new municipal road is proposed to be constructed in association with the previously draft approved subdivision application.
The property was subject to a previous Official Plan, Zoning By-law Amendment and ongoing Draft Plan of Subdivision applications which were approved at the Ontario Land Tribunal (OLT) in May 2023 (OLT-22-004205). That approval permitted 84 back-to-back townhouses on the High Density Block.


About the PDC:
The Planning and Development Committee considers and makes recommendations to Council on the following:
- matters including land use planning, growth management, urban design and operational matters within the jurisdiction of the Chief Building Official
- holding of public meetings required by the Planning Act, which shall be conducted in accordance with the rules under the Procedure By-law
- infrastructure matters within the jurisdiction of the City's Planning, Building and Growth Management Department